Off the market

6A Connemara Drive
Orange NSW 2800

Land
Block size: 2000 m² approx.
This property is currently not on the market.

Want to keep tabs on this property?

Add this property to track how much it's worth and keep up to date with local market activity in your area. Know more about 'My properties'.

Property history

27 Apr 2021
Sold
One Agency Orange
Listed: 04/02/2021
Block size: 2000m²
Transfer type: Full transfer

Key details

Property type:
Land
Block Size:
2000 *

Other Details

Lot:
4032
Plan Type:
DP
Plan:
1261343
Legal description:
4032/1261343
Selling in Orange?
Compare these top-performing sales agents in your area
View sales agents
Orange
View suburb profile

Maps and area information

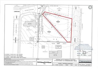
Block information
Block size: 2000 (approx)
Legal description: 4032/1261343
Block Map
Measurements are estimates only and based on data provided under licence from © PSMA Australia 2025.
Sorry, overlays are not available for this address
Need more info? We've got you covered.
A block's planning zone defines how that land can be used and what can be built on it.
A right to use a part of land owned by another person for a specific purpose. The most common forms of easements are for services, such as water, electricity or sewerage.
The value of a block of land without any buildings, landscaping, paths, or fences. This is different to the block's market value. A block's unimproved value is used to calculate rates and land tax charges.
This represents the shape of the geographical land. Closely spaced contour lines represent a steep slope. Widely spaced lines represent a gentle slope.
Enrolment areas for ACT public schools.

Orange suburb information

A little bit about who lives locally, as provided by government census data
SummaryMedian sales
Average Age
39 years
Population
41,232
Allhomes acknowledges the Ngunnawal people, traditional custodians of the lands where Allhomes is situated. We wish to acknowledge and respect their continuing culture and the contribution they make to the life of Canberra and the region. We also acknowledge all other First Nations Peoples on whose lands we work.
"With open hearts and minds, together we grow." artwork by David Williams of Gilimbaa.