Sold
$235,000
agency logo

74 Springfield Drive, Mildura VIC 3500

Land
Block size: 1037 m² approx.

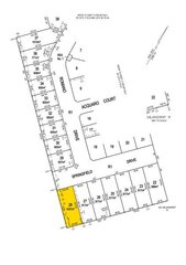
LOT 28 - STAGE 6 LIMPIDI ESTATE - VACANT LAND - TITLE AVAILABLE

Inspections

No inspections scheduled on Allhomes, yet. You may ask the agent about upcoming inspections.

Send an enquiry

Contact Sam Alvey to learn more about this property, request an inspection or take an online tour.

Key details

Property type:
Land
Block Size:
1037 *

Other Details

Lot:
28
Plan:
PS840648
Legal description:
28\PS840648
Collie & Tierney First National

Maps and area information

Block information
Block size: 1037 (approx)
Legal description: 28\PS840648
Block Map
Measurements are estimates only and based on data provided under licence from © PSMA Australia 2025.
Sorry, overlays are not available for this address
Need more info? We've got you covered.
A block's planning zone defines how that land can be used and what can be built on it.
A right to use a part of land owned by another person for a specific purpose. The most common forms of easements are for services, such as water, electricity or sewerage.
The value of a block of land without any buildings, landscaping, paths, or fences. This is different to the block's market value. A block's unimproved value is used to calculate rates and land tax charges.
This represents the shape of the geographical land. Closely spaced contour lines represent a steep slope. Widely spaced lines represent a gentle slope.
Enrolment areas for ACT public schools.

Property history

You don't need a time machine, we've built one for you. Research this property's past sales on the timeline below.
Property History
10 Oct 2025
Sold
First National Real Estate Collie & Tierney
Contract: 10/10/2025
Listed: 08/01/2025
Days on market: 275
Block size: 1037m²
Transfer type: Full transfer

Statement of information

Section 47AF of the Estate Agents Act 1980
Download Statement of Information
Indicative selling price, median house price for the suburb and comparable sales information has been provided by the agent in compliance with Estate Agents Act 1980.

Mildura suburb information

A little bit about who lives locally, as provided by government census data
SummaryMedian sales
Average Age
41 years
Population
34,565
Listing ID:
183467887
Viewed
3 times
Last updated:
10 October 2025
Allhomes acknowledges the Ngunnawal people, traditional custodians of the lands where Allhomes is situated. We wish to acknowledge and respect their continuing culture and the contribution they make to the life of Canberra and the region. We also acknowledge all other First Nations Peoples on whose lands we work.
"With open hearts and minds, together we grow." artwork by David Williams of Gilimbaa.